ホーム  校長室  行事予定  スクールライフ  給食室  図書室  保健室  委員会..クラブ 
  • 臨海学校1(泳ぎ・砂遊び)
  • 臨海学校1(泳ぎ・砂遊び)
  • 臨海学校1(泳ぎ・砂遊び)
  • 臨海学校1(泳ぎ・砂遊び)
  • 臨海学校1(泳ぎ・砂遊び)
  • 臨海学校1(泳ぎ・砂遊び)
  • 臨海学校1(泳ぎ・砂遊び)
  • 地引き網
  • 地引き網
  • 地引き網
  • 地引き網
  • 地引き網
  • 地引き網
  • 地引き網
  • 地引き網
  • 地引き網
  • 地引き網
  • 地引き網.
  • 退所式
  • 退所式
  • 昼食
  • 昼食
  • 昼食
それまでの天気が嘘のように、当日は晴天に恵まれ絶好の海水浴日和でした。太陽が燦々と輝く中、子ども達はそれにも負けないぐらいの歓声を上げて「海」を満喫していました。

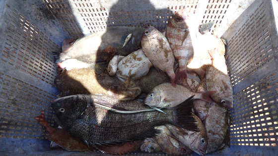
今年は、「地引き網」を取り入れました。地元の漁師さんにお願いして近くの砂浜にて行うことができました。二手に分かれた子ども達は、漁師さん達のかけ声に合わせ、大きな声を出して力の限り網を引いていました。そのおかげでたくさんの魚が捕れるとともに、忘れられない思い出として心に残りました。

当日はノ会長さんをはじめ、PTA本部の方にいろいろ御協力をいただきました。ありがとうございました。